wroclaw.pl strona główna
  1. Wrocławski Budżet Obywatelski
  2. Lista projektów 2023
  3. Projekt nr 20

Nr projektu Nr projektu 20

PROJEKT OSIEDLOWY:
do 1 000 000 zł

ŁączyMY Tarnogaj [WBO 2023]

  • Kategoria drogowe

  • Budżet zgłoszony 1 000 000 zł

  • Status Projekt nie bierze udziału w głosowaniu

  • Lider projektu: Jonatan Ruzga

Komentarz UMW po II etapie oceny

Projekt został oceniony negatywnie. Realizacja uderzy w funkcjonowanie komunikacji zbiorowej na al. Armii Krajowej i doprowadzi do upośledzenia priorytetu dla tramwajów. Bardzo mała odległość do sąsiednich skrzyżowań węzłowych. Funkcjonujący układ ulic i skrzyżowań obsługujących chroni przyległe osiedla przed ruchem tranzytowym. Obecnie w tym miejscu działają światła na przejściach dla pieszych. Z tych powodów wprowadzenie dodatkowej sygnalizacji byłoby niegospodarne i niecelowe, jest więc sprzeczne z § 2 ust. 2 pkt 8) uchwały nr LXII/1440/18 Rady Miejskiej Wrocławia z dnia 13 września 2018 r. w sprawie Wrocławskiego Budżetu Obywatelskiego. Rekomendujemy Liderom dokonanie przeglądu zgłoszonych projektów w celu sprawdzenia czy nie zgłoszono innych wniosków o podobnym zakresie.

Komentarz UMW po I etapie oceny

Projekt został oceniony negatywnie. Realizacja uderzy w funkcjonowanie komunikacji zbiorowej na al. Armii Krajowej i doprowadzi do upośledzenia priorytetu dla tramwajów. Bardzo mała odległość do sąsiednich skrzyżowań węzłowych. Funkcjonujący układ ulic i skrzyżowań obsługujących chroni przyległe osiedla przed ruchem tranzytowym. Obecnie w tym miejscu działają światła na przejściach dla pieszych. Z tych powodów wprowadzenie dodatkowej sygnalizacji byłoby niegospodarne i niecelowe, jest więc sprzeczne z § 2 ust. 2 pkt 8) uchwały nr LXII/1440/18 Rady Miejskiej Wrocławia z dnia 13 września 2018 r. w sprawie Wrocławskiego Budżetu Obywatelskiego. Rekomendujemy Liderom dokonanie przeglądu zgłoszonych projektów w celu sprawdzenia czy nie zgłoszono innych wniosków o podobnym zakresie.

Opis projektu

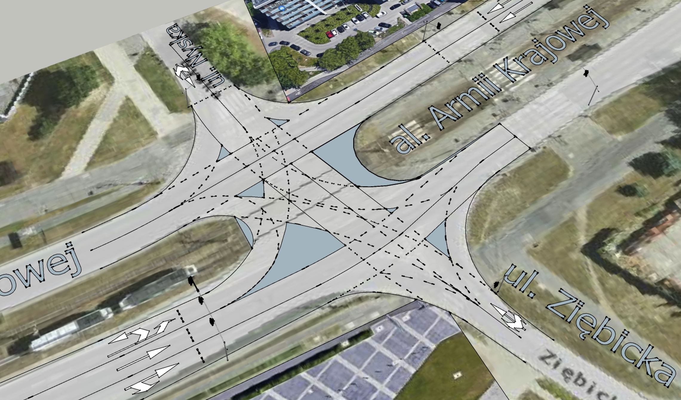
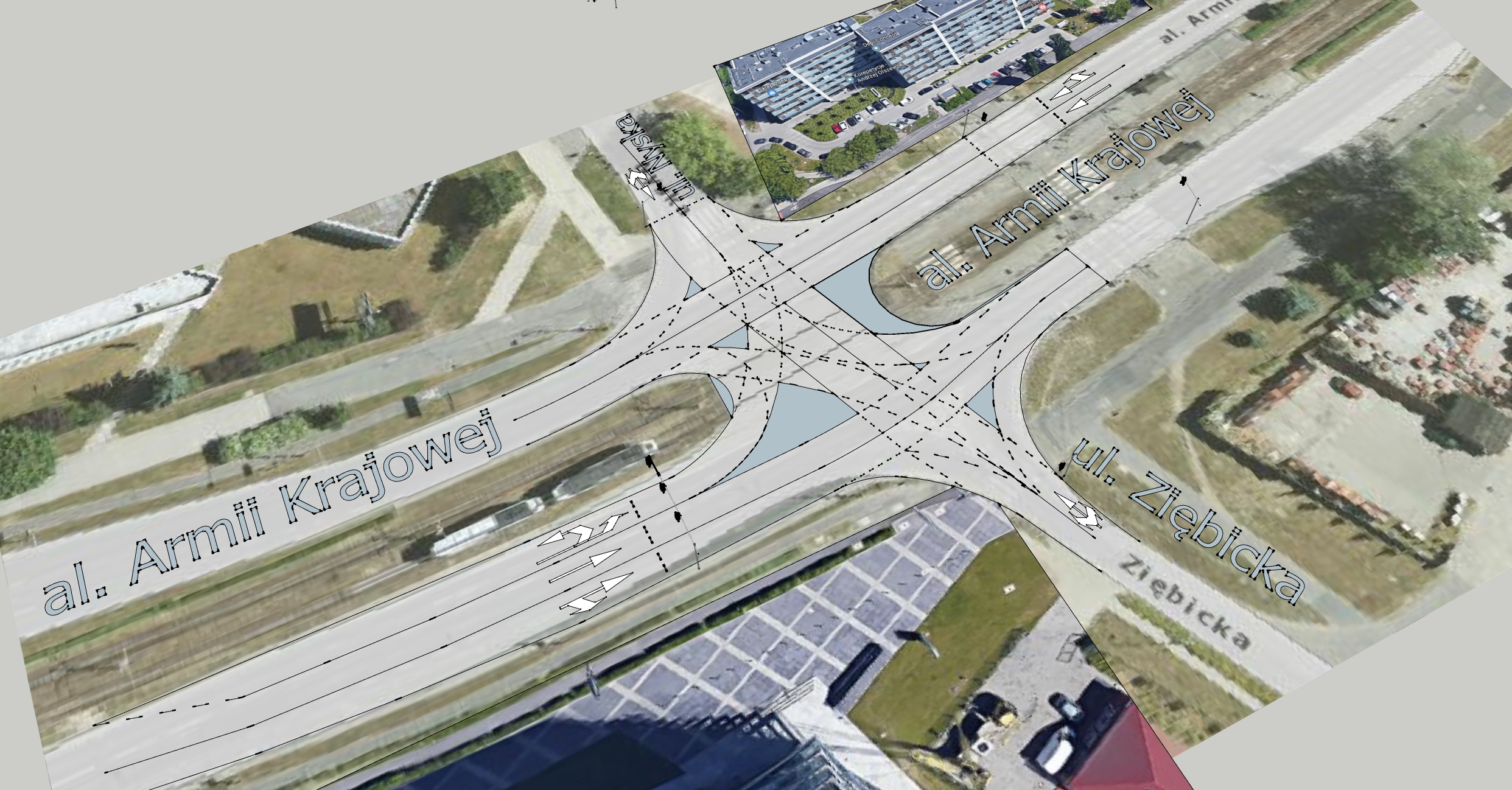
Stwórzmy skrzyżowanie ze światłami przy: Armii Krajowej, Nyskiej, Ziębickiej.

Koniecznie zobacz zdjęcia na dole!

Celem jest stworzenie pełnoprawnego skrzyżowania na tej imitacji skrzyżowania z barierką pośrodku.
lepsze skomunikowanie: północnej części Tarnogaju, SP 9, południowej części, centrum Kaufland, osiedli mieszkaniowych.

- umożliwienie skrętu w lewo, w prawo i jazdy na wprost z Ziębickiej,
- umożliwienie skrętu w lewo, w prawo i jazdy na wprost z Nyskiej,
- umożliwienie skrętu w lewo (w Nyską) i zawracania z Armii Krajowej jadąc z zachodniej części Armii Krajowej, wykorzystanie obecnego pasa do jazdy w prawo: do jazdy na wprost i skrętu w prawo, utworzenie dodatkowego pasa postojowego do skrętu w Nyską (patrz projekt na dole).

Uzasadnienie projektu

Dodatkowo:
1. Wykorzystanie istniejącej sygnalizacji przy A. Krajowej jadąc od wschodniej strony,
2. Przeniesienie sygnalizacji samochodowej ze strony sąsiadującej (z 1.) na sygnalizację ruchu przy ziębickiej celem obniżenia kosztów,
3. Synchronizacja świateł dla nadjeżdżających wcześniej tramwajów, oraz jadących zgodnie z ograniczeniem samochodów tak, aby zharmonizować ich ruch z pobliskimi skrzyżowaniami. Synchronizacja świateł dla pieszych tak, aby skrzyżowanie można było przejść na jednym cyklu.

Grupa beneficjentów projektu

Mieszkańcy osiedla Tarnogaj, pracownicy centrali Kaufland, SP9, KFC na Bardzkiej

Szacunkowa liczba beneficjentów projektu

12000

Elementy projektu

3 x Sygnalizatory ze światłami dla samochodów
1 x Zmiana organizacji ruchu, wymalowanie jezdni
1 x Umieszczenie znaków pionowych i poziomych
1 x Zagospodarowanie lokalnych elementów drogi, krawężników, płyt chodnikowych, zieleni
1 x Odpowiednie zestrojenie świateł tak, aby zapewnić największą płynność ruchu. Sygnalizacja i priorytet ruchu dla tramwajów.

Lokalizacja

Pomiń mapę

projekt osiedlowy Lokalizacja

Tarnogaj Osiedle

Lokalizacja szczegółowa skrzyżowanie przy: Armii Krajowej, Nyskiej, Ziębickiej

Załączniki - 5 szt.

Kontakt z liderem projektu